*** BIEN VENDU RÉCEMMENT ***
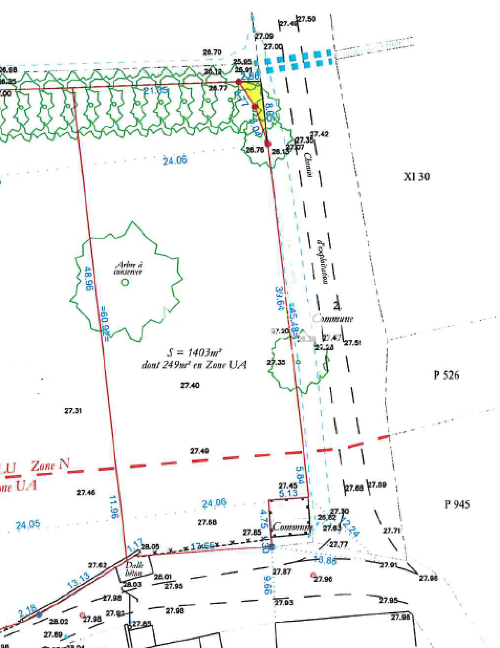
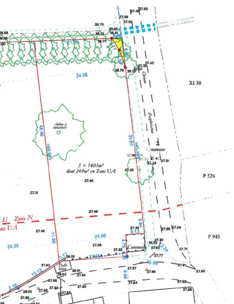
- Situé tout proche du bourg, terrain à bâtir sur une zone constructible de 249 m² issue d'une parcelle de 1400 m² environ.
Réseaux à proximité : prévoir raccordements eau, électricité et raccordement au tout à l'égout.
La parcelle est située en zone Ua et libre de constructeurs.
- Les informations sur les risques auxquels ce bien est exposé sont disponibles sur le site Géorisques : www.georisques.gouv.fr
Legé est une commune en développement permanent, vous y trouverez: écoles primaire et élémentaire, collèges, transports scolaires pour les lycées aux alentours, de nombreux commerces et un supermarché, tous les services de santé, cinéma 3D, piscine intercommunale, parc public. Vous êtes à 30 min de Nantes, 35 min de la côte et St Jean de Mont, 20 min de Challans & de La Roche sur Yon.
CO Immobilier vous propose des biens à vendre et à louer sur le secteur Sud Loire Atlantique et Nord Vendée. Retrouvez toutes nos annonces sur les communes de: Legé, Corcoué sur Logne, Touvois, Saint Etienne du Bois, Les Lucs sur Boulogne, Rocheservière, Falleron, Palluau mais aussi sur le secteur du Bignon, Geneston, Montbert, Les Sorinières, Pont St Martin, St Philbert de Gd Lieu.
Prix : 56 000 € dont 12 % TTC d'honoraires à la charge de l'acquéreur.
